釣り船 アンタレス
ホーム
利用案内
料金案内
予約状況
乗船場所
問い合わせ
トップ過去釣果情報
2013釣果情報
2014釣果情報
2015釣果情報
2016釣果情報
2017釣果情報
2018釣果情報
2019釣果情報
2020釣果情報
2021釣果情報
リンク
大会・イベント
2013釣果情報
4月〜6月
7月〜9月
10月〜12月
10月〜12月
トップページへ
12月後半の釣果の一部になります
太刀魚は近海で釣れまくってます
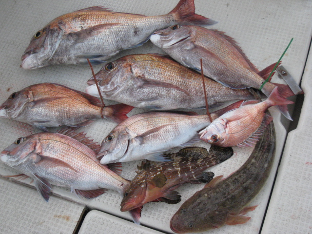
12月に入っての釣果になります
水温低下に伴い鯛サビキにシフトしつつあります
サビキではリリースサイズが多数 タイラバでは良型が
枚数か?サイズか?悩ましい時期です
画像のみのアップになりますが宜しくお願いします
久々のプライベートでメバルを見に行ったらガシラばかりでした
11月12日
本日はタイラバ&太刀魚にて出船
バラシ多数 リリース多数 そして強風と忙しい1日でした
午前中の地合で勝負出来てよかったです
またのお越しをお待ちしております
帰り道にて30分程おかず釣りして参りました
最終アオリ2 コウイカ2 画像は最初のGET品です
11月に入って更新しておりませんでしたので画像のみのUPになります
10月31日
本日は常連さん3名様で出船
全体的に良型揃いにリリース5でした
スカート色と巻きスピードの変化でバイト率が変わりました
10月27日
田中様グループで出船しました
台風明けで調査不足もあり前半戦はバイト皆無
何とか満ちの潮で頑張って戴きました
久々の80サイズが出ました なかなか揚がってこなかったですね
またのお越しをお待ちしております
10月22日
本日は、お客様1名で出船
いつも通りのルートで散策してまいりました。
私はアタリのみでしたが、
きっちり釣果だして頂きました。
急遽 タクシーが入ってしまい
お手伝いしていただきました。
ありがとうございました
10月14日
本日はタチウオ&鯵予定で出船
タチウオは餌のテンヤの方が食いはよかったです
4本半が最大サイズでしたね
鯵は、なかなかサイズ大きくなってました
鯵を回収にいったり来たりしていたら、私の竿が神隠しにあいました
置き竿には注意しましょう!!
10月13日
本日はタチウオと鯛のリレー予定で出船
取り合えず太刀からのスタート 大きいサイズで指5本越えがいました
鯛は綺麗な色はしていたものの中型サイズが多かったような
画像は生簀にいたもののみです
クーラーにも鯛、サゴシや太刀が収納されてました
本日も、まさかのタモ入れミスをやってしまいました。誠に申し訳ありませんでした
10月11日
午後から常連さん2名で短時間勝負
昨日とは違う方面でうろうろと・・・。
やはり話しながら釣りの方がたのしいですね
本日はスロージギングに鯵のみヒットしました
10月10日
完全プライベート釣行
台風後近場のポイントをうろうろしてまいりました
10月1日
NEWタックルのテストを兼ねて釣行
なかなか良い曲がりしてました
本日はネクタイカラーのチョイスでバイト率が変わりました